Hit Rush(ヒット ラッシュ)
今日はお客様のご要望でゆっくり目の出船でした。
青物・マダイ・タチウオの何でも狙いでしたが、
どれも反応出てもサッパリでしたふらふらたらーっ(汗)
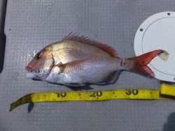
釣果は、マダイ 40cmでした。
頑張って頂きましたが、
釣果寂しく申し訳ありません。
本日はお疲れ様でした。
090-9177-8625
| 船名 | Hit Rush(ヒット ラッシュ) |
|---|---|
| 都道府県 | 大阪 |
| 場所 | 大阪府泉佐野市 食品コンビナート 北岸壁 Google Map |
| ホームページ | http://hitrush.jp/ |
| ブログ | http://hitrush.sblo.jp/ |
| 電話番号 | 090-9177-8625 |
| ジャンル | ジギング、キャスティング、タイラバ |
2016/03/29
--
--
--
マダイ
今日はお客様のご要望でゆっくり目の出船でした。
青物・マダイ・タチウオの何でも狙いでしたが、
どれも反応出てもサッパリでしたふらふらたらーっ(汗)
釣果は、マダイ 40cmでした。
頑張って頂きましたが、
釣果寂しく申し訳ありません。
本日はお疲れ様でした。
090-9177-8625