Hit Rush(ヒット ラッシュ)
2016/03/16(水) 釣果情報
久々の良い釣り日和でした晴れ
ジギングとタイラバで行ってきましたが、
タイラバは開始早々にヒットしてくれましたが、
すぐに潮が止まってしまい、
その後はショートバイトのみでしたたらーっ(汗)
青物も回りではポツポツとヒットしてましたが、
自船はあきませんでしたふらふら
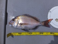
釣果は、マダイ 42cmだけでした。
厳しい状況の中、最後まで頑張って頂き有難うございました。
本日はお疲れ様でした。
090-9177-8625












