NineBlue
12日 ジギング
沖に行ってましたが目の前まで来て時化たので近海ジギングに戻りました(^_^;)
がしかし近海ジギング渋いから鯛ラバやったりと。
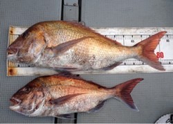
魚礁狙ってるのにいいサイズの鯛が来たり(°_°)
一発ジギングに止まらないヤツがきたけどブレイク(>_<)
ちょっとグダグダになってすみませんでした(T_T)
お疲れ様でした!
080-9247-1010
| 船名 | NineBlue |
|---|---|
| 都道府県 | 福岡 |
| 場所 | 福岡県福岡市東区箱崎4-40 Google Map |
| ホームページ | http://nine-blue.com/ |
| ブログ | http://blog.nine-blue.com/ |
| 電話番号 | 080-9247-1010 |
| ジャンル | ジギング |
2016/03/12
昼
--
--
中潮
ヒラゴ1 鯛8キロ~3枚 ウマヅラ ガシラ
12日 ジギング
沖に行ってましたが目の前まで来て時化たので近海ジギングに戻りました(^_^;)
がしかし近海ジギング渋いから鯛ラバやったりと。
魚礁狙ってるのにいいサイズの鯛が来たり(°_°)
一発ジギングに止まらないヤツがきたけどブレイク(>_<)
ちょっとグダグダになってすみませんでした(T_T)
お疲れ様でした!
080-9247-1010