Hit Rush(ヒット ラッシュ)
今日は朝から爆風予報だったんで、
少しゆっくり目の出船で行ってきました。
ジギングとタイラバで頑張って頂きましたが、
どちらもアタリ少なく厳しい1日になってしまいましたもうやだ~
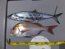
釣果は、マダイ 50cm、サゴシ 60cmでした。
寂しい釣果で終わってしまい申し訳ありません。
本日はお疲れ様でした。
090-9177-8625
| 船名 | Hit Rush(ヒット ラッシュ) |
|---|---|
| 都道府県 | 大阪 |
| 場所 | 大阪府泉佐野市 食品コンビナート 北岸壁 Google Map |
| ホームページ | http://hitrush.jp/ |
| ブログ | http://hitrush.sblo.jp/ |
| 電話番号 | 090-9177-8625 |
| ジャンル | ジギング、キャスティング、タイラバ |
2016/02/07
昼
--
--
中潮
マダイ 50cm、サゴシ 60cm
今日は朝から爆風予報だったんで、
少しゆっくり目の出船で行ってきました。
ジギングとタイラバで頑張って頂きましたが、
どちらもアタリ少なく厳しい1日になってしまいましたもうやだ~
釣果は、マダイ 50cm、サゴシ 60cmでした。
寂しい釣果で終わってしまい申し訳ありません。
本日はお疲れ様でした。
090-9177-8625