Hit Rush(ヒット ラッシュ)
今日は予報以上の爆風で釣り辛い中、
ジギング・タイラバ初挑戦のお客様達が頑張って下さいましたが、
タイラバは反応たっぷりでしたがアタリ少なく、ジギングの青物は撃沈でした
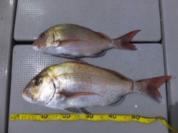
釣果は、マダイ 65cm・51cmの2匹でした。
寒い中、頑張って頂きましたが、
釣果伸びずに申し訳ありません。
本日はお疲れ様でした。
090-9177-8625
| 船名 | Hit Rush(ヒット ラッシュ) |
|---|---|
| 都道府県 | 大阪 |
| 場所 | 大阪府泉佐野市 食品コンビナート 北岸壁 Google Map |
| ホームページ | http://hitrush.jp/ |
| ブログ | http://hitrush.sblo.jp/ |
| 電話番号 | 090-9177-8625 |
| ジャンル | ジギング、キャスティング、タイラバ |
2016/01/30
昼
--
--
中潮
マダイ 65cm・51cmの2匹
今日は予報以上の爆風で釣り辛い中、
ジギング・タイラバ初挑戦のお客様達が頑張って下さいましたが、
タイラバは反応たっぷりでしたがアタリ少なく、ジギングの青物は撃沈でした
釣果は、マダイ 65cm・51cmの2匹でした。
寒い中、頑張って頂きましたが、
釣果伸びずに申し訳ありません。
本日はお疲れ様でした。
090-9177-8625