Hit Rush(ヒット ラッシュ)
2016/01/12(火) 釣果情報
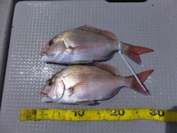
今日もジギングとタイラバで行ってきましたが、
どちらもアタリ少なく厳しい1日でした。
釣果は、マダイ 31cmが2匹だけでしたふらふら
寒い中、最後まで頑張って頂きましたが、
釣果寂しく申し訳ありません。
本日はお疲れ様でした。
090-9177-8625
| 船名 | Hit Rush(ヒット ラッシュ) |
|---|---|
| 都道府県 | 大阪 |
| 場所 | 大阪府泉佐野市 食品コンビナート 北岸壁 Google Map |
| ホームページ | http://hitrush.jp/ |
| ブログ | http://hitrush.sblo.jp/ |
| 電話番号 | 090-9177-8625 |
| ジャンル | ジギング、キャスティング、タイラバ |
2016/01/12
--
--
--
大潮
マダイ
2016/01/12(火) 釣果情報
今日もジギングとタイラバで行ってきましたが、
どちらもアタリ少なく厳しい1日でした。
釣果は、マダイ 31cmが2匹だけでしたふらふら
寒い中、最後まで頑張って頂きましたが、
釣果寂しく申し訳ありません。
本日はお疲れ様でした。
090-9177-8625