Hit Rush(ヒット ラッシュ)
2015/12/26(土) 釣果情報
今日も青物とマダイ狙いでした。
タイラバのマダイは顔は見れましたが、
青物は期待していたタイミングで潮が濁ってしまい、
撃沈になってしまいましたもうやだ~(悲しい顔)
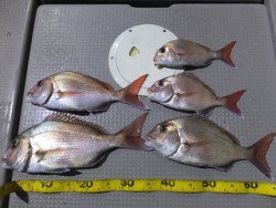
釣果は、マダイ 40cmまでが5匹でした。
頑張って頂きましたが、
釣果伸びず申し訳ありません。
本日はお疲れ様でした。
090-9177-8625












