sea boss シーボス
燃料補給のついでにちょっと釣り。
タコは大分減っています。
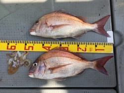
真鯛は約50cmが2枚でした。
30分以内の近場ででも
釣果が出てまいりました。
https://fishing.ne.jp/userpost/index.html?8778748171
090-3736-4512
| 船名 | sea boss シーボス |
|---|---|
| 都道府県 | 熊本 |
| 場所 | 熊本県宇城市三角町三角浦1160−170 Google Map |
| ホームページ | http://sea-boss.com/ |
| ブログ | https://ameblo.jp/seaboss-amakusa/ |
| 電話番号 | 090-3736-4512 |
| ジャンル | タイラバ、ジギング |
2015/08/12
--
--
--
真鯛
燃料補給のついでにちょっと釣り。
タコは大分減っています。
真鯛は約50cmが2枚でした。
30分以内の近場ででも
釣果が出てまいりました。
https://fishing.ne.jp/userpost/index.html?8778748171
090-3736-4512