リトルワン
タイラバ アジ調査
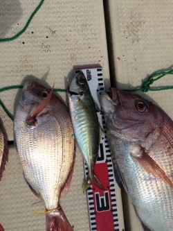
本日はタイラバと去年釣れたアジを釣りたいとの事で調査釣行でした。
タイは釣られた方で4枚と、アジは全然でした。
またのご乗船お待ちしております。
| 船名 | リトルワン |
|---|---|
| 都道府県 | 福岡 |
| ホームページ | http://www.lt1.jp/ |
| ブログ | http://www.lt1.jp/ |
| 電話番号 | 080-7004-3457 |
2015/06/20
昼
--
--
中潮
アジ、マダイ
タイラバ アジ調査
本日はタイラバと去年釣れたアジを釣りたいとの事で調査釣行でした。
タイは釣られた方で4枚と、アジは全然でした。
またのご乗船お待ちしております。