磯部釣船 直栄丸
5日伊良湖沖のウタセマダイ
山川さんの単独釣行です。
北西風(季節風)が今秋初めて吹きました。
気温も下がり、夕方は肌寒いぐらいになりましたね。
秋本番と言った感じです。
やはり今日も潮が速く、速いうちは喰わなかった。
潮緩みにジアイ到来。待ってました!と、二人で釣りまくり(笑)
手慣れた山川さん、魚の取り込みもマダイの空気抜きも全部自分でやってくれるから、私も釣りに集中。
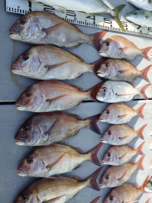
良型混じり
クーラー満タンになりました。
今日は帰り際、まだ喰いそうでしたが、風も波もあったので山川さんの最後の1投!「ワラサ」をGETして終わりとしました。
秋のウタセマダイ楽しんで頂けました。
私も仕事を忘れ、楽しませて頂いちゃいました(爆)
お疲れ様でした。
ありがとうございました。
















