船基本情報
| 船名 | 優誠丸 |
|---|---|
| 都道府県 | 愛知 |
| 場所 | 片名漁港 Google Map |
| ホームページ | http://www.katana28.com/ |
| ブログ | http://www.katana28.com/?page_id=171 |
| 電話番号 | 080-5164-4926 0569-77-2178 |
| ジャンル | エサ |
優誠丸
Loading...
いいねしたユーザー(件)
釣行日
2020-08-09
時間
日中
天気
晴れ
気温
暑い
潮
中潮
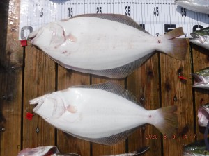
釣果
イナダ(ハマチ),ヒラメ
釣り方
泳がせ・のませ




















