第一進丸
07/25釣果
本日も飯岡港より1号船、2号船ともにヒラメ釣りに出船。
<1号船>
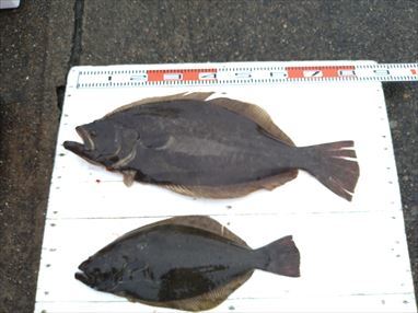
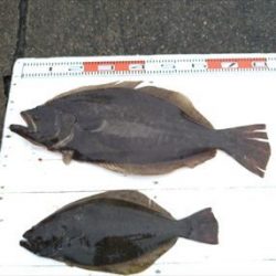
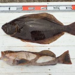
大板絡み上がる3.8kg、次65cm、65cm、63cm、62cm、60cm、、、と
大型数上がり、0~8枚、
次7枚のお客様は合計10kgを超えて釣り上げられ、
6枚、5枚、4枚、3枚が3人、、、オデコが消えず残念。
他、ヒラマサ3kg、特大のアイナメ、マトウダイ、真カサゴも上がる。
<2号船>
大板上がる、75cm、4.3kg。幅広の特肉厚東京ドーム型
次67cm、63cm。0~3枚、オデコが消えず残念。
数は伸びませんでしたが、ソゲはほとんど無く、良大型のみ揃って釣り上がりました。
明日もヒラメ釣りに出船。
空きがたくさんありますので、
ご予約をお待ち申し上げております。












































