富士丸
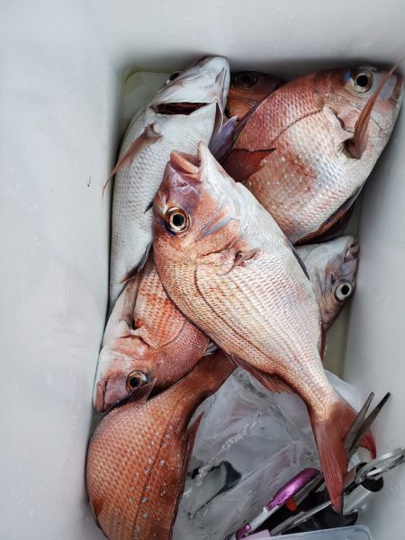
6月20日真鯛の釣果
午前船、5名様での出船でした(*ˊᵕˋ*)
出船前に、船長とお客様との話し合いフム((¯ω¯*))フム
初めての方がいるので浅場へGOでも、お客様、、deeppointが気になるご様子。
そこで、shallow→deepの一発狙いへ
15メールからの大移動で100メートル
0~3枚 0、4~0、7kgタイラバでの勝負
ショウサイフグ、黒鯛、カサゴ、レンコダイ、サバ
写真が少なくてゴメンなさい
そして、
午後船は、5時頃から入れ食い
あっという間にツヌケになれた人も
真鯛 0~11枚 0、3~0、7kg
イナダ、ショウサイフグ、カサゴ
0の方は1名様でこの方は釣られましたが放流されています。個々の判断になると思います(*ˊᵕˋ*)
明日も、午前船の真鯛&午後船の真鯛へ出ます。
୨୧┈┈┈ 予約状況 ┈┈┈┈┈┈୨୧⑅*。
6月21日 日曜日
午前船。。。真鯛 現在3名様の予約あり
午後船。。。真鯛 現在8名様の予約あり
6月21日 月曜日
午前船。。。真鯛 1名様が希望されております
6月22日 火曜日
午前船。。。真鯛 2名様からの予約あり
6月23日 水曜日
午前船。。。真鯛 2名様からの予約あり
近況の予約状況です。ご検討ください。
✩⋆✩⋆✩⋆✩⋆✩⋆✩⋆✩
⋆✩⋆✩⋆✩⋆✩⋆✩
新型コロナウイルス拡大防止のため
以下のことをご協力ください。
1。。。マスクの着用
2。。。落ち着くまで飲食物は各自持ち帰り下さい
3。。。乗船名簿記帳前、乗船前に手の消毒
4。。。トイレ使用時は備え付けの消毒液で消毒
その後に、全体的に消毒液を撒いてから出てください。
5。。。キャビンは消毒済みですが出来るだけ使用しないでください。
もし、使用されるようでしたら必ず扉は開けて密閉をしないでください。
オープンスペースですが、密集したり触れたりを避けるために出来るだけの事をしていきたいと思いますので、ご協力をお願いします。( 人数制限をする場合もあります。)
physicalDistancing




























