船基本情報
| 船名 | 七福丸 |
|---|---|
| 都道府県 | 愛知 |
| 場所 | 師崎港 Google Map |
| ホームページ | http://www.sitifuku.com/ |
| ブログ | http://www.sitifuku.com/blog/ |
| 電話番号 | 0569-63-0472 |
| ジャンル | エサ |
七福丸
Loading...
いいねしたユーザー(件)
釣行日
2020-06-17
時間
日中
天気
晴れ
気温
--
潮
若潮
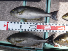
釣果
アジ,イサキ,カツオ,カサゴ(ガシラ),サバ,その他魚種
釣り方
サビキ

























