海晴丸
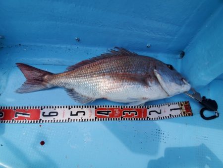
今日の湾口タイラバも70連発で絶好調!鹿児島錦江湾海晴丸
今週はコマセ真鯛もタイラバも連日好調が続いた。本日の錦江湾口タイラバも70オーバー連発で楽しかったぁ~。明日はシケで、お休みです佐藤さんの大鯛も70cmオーバーノッコミ真鯛は引きが強いデスネまたまた大鯛キャッチ!一人がヒットするとズラズラズラっとヒットが続きましたこちらも70のグッドサイズ⤴️ネクタイの色、形状、カラーを吟味しながらローテーションしていきます。今日はオレンジがダントツでした今時期のマダイは桜色に輝く美しい魚体が魅力的です70cmオーバーがよく釣れましたこちらも71cmのグッドサイズこちらの72cmのオスの真鯛は婚姻色で黒ずんでいた。この個体が多く釣れだすとノッコミ最盛期のサインとなります立派な真鯛ばかりでした一人分の釣果です本日の出船湾口タイラバ海晴丸連絡先090-3738-2896海晴丸メール[email protected]ホームページhttp://www2.synapse.ne.jp/kaisei/




































