力漁丸
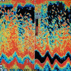
イワシ回遊中
今日も浅場にイワシの大群です
イワシの中は当たらないので移動
06:30来ました!
5枚
07:40ゲット!あと2名
※お知らせ明日14日(火)空いてます、チャンスですよ!
3月1日(日)大原港ヒラメ釣り大会参加者募集中!阪本智子さん乗船予定です 1号船・2号船満員です
“力漁丸”専用アプリ登場!(登録してください)これで予約は簡単、スタンプ、ポイント、ほか、お得な情報もお届けします。(住所も記入して戴きアプリから予約すると、朝受付時の乗船名簿の記入は不要です)千葉県大原港力漁丸 09072107492☎︎047062057509045446242
13日(月)◎ヒラメ・オニカサゴ14日(火)◎ヒラメ・オニカサゴ15日(水)◎ヒラメ・オニカサゴ16日(木)◎オニカサゴ◎ヒラメ17日(金)◎ヒラメ・オニカサゴ18日(土)◎ヒラメ・オニカサゴ19日(日)◎ヒラメ・オニカサゴ20日(月)定休日21日(火)◎ヒラメ・オニカサゴ22日(水)◎ヒラメ・オニカサゴ23日(木)◎オニカサゴ◎ヒラメ24日(金)◎ヒラメ・オニカサゴ25日(土)◎ヒラメ・オニカサゴ26日(日)◎ヒラメ・オニカサゴ◎確定 ◉予定
午前・午後オニは3名より12,500円午前・午後マダイは2名より11,000円 女性・中学生以下割引ありレンタルタックル無料(電動は有料2,000円使用中のLINE切れ1,000円〜)店2の方は宿泊無料です!(セルフサービス、空いてる部屋で休んで下さい)カップ麺・お茶・珈琲は無料です、ご自由に
カード決済OK!電子マネーも使えるようになりました。※予約時にお知らせ下さい。




























