よこしか
新年初の一つテンヤに行きました。満潮が11:30頃で朝の6:30~14:00まで釣りを行いました。
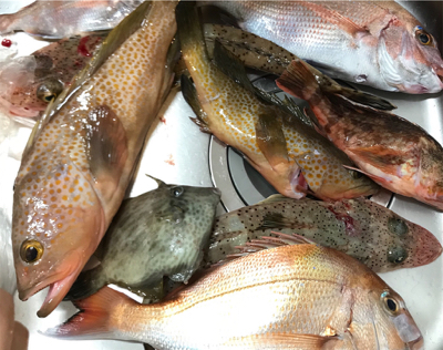
潮止まり以外の時間は意外と多くの当たりがあり小型のチャリコやメゴチ、キジハタなどがボトム付近で多く釣れました。
潮が満ちてからはボトムから1mほど浮かせた場所でマダイやカワハギが釣れました。
餌取りが多く頻繁に餌の交換を行うことが出来ればもっと良い釣果が得られたと思います。
テンヤは主に8号のものを使用しました。
リリースした個体も多く多様な魚種を釣ることが出来たので新年初の釣りは良い結果でスタートできました。
またテンヤ釣りに行きたいと思います。






















