富士丸
9月27日一日真鯛釣果
今日のビッグサイズは
2、3kg
午前船は、お客様2名での出船でした。
一時入れ食い!タイムありで
ここで、掛けるか掛けれないかで明暗が分かれました。
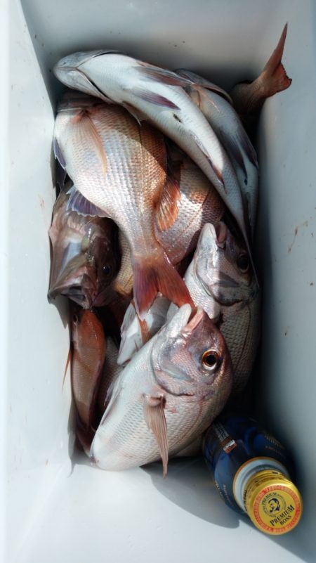
真鯛 2~10枚 0、4~0、7kg
アジ、ワカシ、はた
放流入れたら、もっと数が伸びました。
午後からは
2、3kg頭に、3枚
「一投目に大鯛バラして、最後にまた大鯛バラしちゃった」と話していた〇〇さん。ほんとに残念でした(•́ㅿ•̀)
次は、しっかりと手中に!!頑張れ〜(ง˶•̀ ̬•́˶)ง
真鯛 2~4枚 0、4~2、3kg
ヒラメ、ワカシ、はた
明日も真鯛に
午前船、午前船で出船します。
午後船は2名様なので誰かいらっしゃれる方はいませんか??
よろしくお願いします。






















