ARCADIAⅡ (アルカディアⅡ)
真鯛にメジロ
本日は寂しく3名様、
どしゃ降りの中頑張って頂きました。
青物交わしてやっと
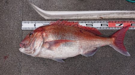
72センチ、自己新更新㊗️
べっぴんさん
今年の目標まであと54枚(笑)頑張って下さい。
船長やらかしました(^^;
ブルテリア、ニューカラーで❗
青い子
今日は生憎のお天気でしたが、朝から広範囲に鳥山、
出だしは青物に悩まされましたが、
違う鳥山に着けると真鯛連発。
バラシが何度かありましたが、ハチマル頭に9枚キャッチ。
久しぶりにスッキリしました。
後半は甘鯛狙いでしたが、船がほとんど流れずで、
根魚のみで不発。
どの魚も本当タイミングが大事ですね。
本日もありがとうございましたm(__)m
タイラババトル開催中、優勝賞金100000円
10、11、12日、空き13、14、15、16日、満船17、19日、空き18日、タイラバ、アマラバ2人乗り合い募集20日、満船21日、タイラバ、アマラバ1人乗り合い募集22日、タイラバ、アマラバ3人乗り合い募集24、26、27、28日、満船23、25日、空き29日、タイラバ、アマラバ5人乗り合い募集30日、空き31日、満船
080-6126-6300アルカディア2川端












































