船基本情報
| 船名 | まとばや |
|---|---|
| 都道府県 | 愛知 |
| 場所 | 師崎港 Google Map |
| ホームページ | http://matobaya.com/ |
| ブログ | http://matobaya.com/#blog |
| 電話番号 | 0569-63-0148 |
| ジャンル | エサ |
まとばや
Loading...
いいねしたユーザー(件)
釣行日
2019-06-10
時間
日中
天気
--
気温
--
潮
小潮
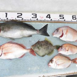
釣果
アジ,イサキ,マダイ,カワハギ
釣り方
天秤フカセ




































