船基本情報
| 船名 | ルアー船マヒマヒ |
|---|---|
| 都道府県 | 兵庫(瀬戸内海) |
| ホームページ | http://www1.winknet.ne.jp/~nanno/ |
| ブログ | http://mahi2-himeji.jugem.jp/ |
| 電話番号 | 090-1963-3451 |
ルアー船マヒマヒ
Loading...
いいねしたユーザー(件)
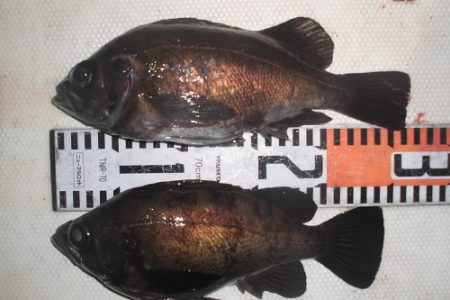
釣行日
2019-02-27
時間
夜
天気
曇り
気温
寒い
潮
小潮
釣果
メバル
釣り方
メバリング
| 船名 | ルアー船マヒマヒ |
|---|---|
| 都道府県 | 兵庫(瀬戸内海) |
| ホームページ | http://www1.winknet.ne.jp/~nanno/ |
| ブログ | http://mahi2-himeji.jugem.jp/ |
| 電話番号 | 090-1963-3451 |
2019-02-27
夜
曇り
寒い
小潮