泰丸
3日半夜便ロング福田氏ら
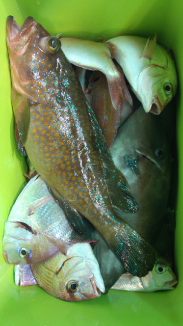
今日の半夜便は五目釣りからの~マイカリレー便で出船しました(≧▽≦)!!
皆さん思い思いのおかずキープが出来て納得の釣行でしたね~(*\’▽\’)
チダイ、レンコダイ26〜28センチ3〜12匹船中112匹
キジハタ35〜40センチ0〜2匹船中4匹
カサゴ28センチ船中2匹
カワハギ33〜36センチ0〜3匹船中15匹
マイカ22〜28センチ4〜26はい
マダイ50センチ船中1匹
| 船名 | 泰丸 |
|---|---|
| 都道府県 | 福井 |
| 場所 | 色浜 Google Map |
| ホームページ | http://www.taimaru.jp/ |
| ブログ | http://www.taimaru.jp/fishingpost/ |
| 電話番号 | 0770-26-1722 |
2018-11-03
日中
--
--
若潮
キジハタ(アコウ),カサゴ(ガシラ),ケンサキイカ,マダイ,カワハギ,レンコダイ
その他エサ釣り
3日半夜便ロング福田氏ら
今日の半夜便は五目釣りからの~マイカリレー便で出船しました(≧▽≦)!!
皆さん思い思いのおかずキープが出来て納得の釣行でしたね~(*\’▽\’)
チダイ、レンコダイ26〜28センチ3〜12匹船中112匹
キジハタ35〜40センチ0〜2匹船中4匹
カサゴ28センチ船中2匹
カワハギ33〜36センチ0〜3匹船中15匹
マイカ22〜28センチ4〜26はい
マダイ50センチ船中1匹