勇勝丸
10月21日(日)昨日は中止
昨日は、シケ予報で中止になりました。
久しぶりにヒラマサが釣れました。
大串さん、ヒラマサ8.5kでした。
もう一本は5.5kでした。
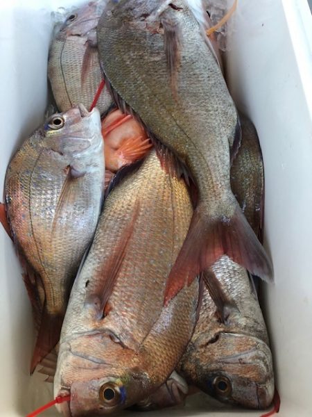
真鯛は、中村さんです。
数は60くらい釣れてますが小さめが多かったです。
次回は、明日。
たくさん釣れますように!
| 船名 | 勇勝丸 |
|---|---|
| 都道府県 | 佐賀 |
| 場所 | 串浦港 Google Map |
| ホームページ | http://blog.goo.ne.jp/yuushoumaru |
| ブログ | http://blog.goo.ne.jp/yuushoumaru |
| 電話番号 | 090-8226-1579 |
2018-10-21
--
--
--
ヒラマサ,マダイ
ジギング,タイラバ(鯛ラバ)・テンヤ
10月21日(日)昨日は中止
昨日は、シケ予報で中止になりました。
久しぶりにヒラマサが釣れました。
大串さん、ヒラマサ8.5kでした。
もう一本は5.5kでした。
真鯛は、中村さんです。
数は60くらい釣れてますが小さめが多かったです。
次回は、明日。
たくさん釣れますように!