泰丸
23日午前便仕立て米谷氏ら
今日の五目釣りは秋晴れで心地の良い中、魚の食い気も良かったですね(≧▽≦)!!
旬のチダイ、レンコダイをメインに大漁満足でした(*\’▽\’)!!
チダイ、レンコダイ22〜32センチ船中280匹
カイワリ25センチ船中10匹
カワハギ35〜40センチ船中21匹
アジ、カサゴ少々
| 船名 | 泰丸 |
|---|---|
| 都道府県 | 福井 |
| 場所 | 色浜 Google Map |
| ホームページ | http://www.taimaru.jp/ |
| ブログ | http://www.taimaru.jp/fishingpost/ |
| 電話番号 | 0770-26-1722 |
2018-09-23
午前
晴れ
--
中潮
アジ,レンコダイ
胴突き
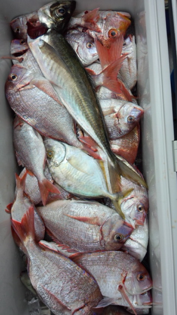
23日午前便仕立て米谷氏ら
今日の五目釣りは秋晴れで心地の良い中、魚の食い気も良かったですね(≧▽≦)!!
旬のチダイ、レンコダイをメインに大漁満足でした(*\’▽\’)!!
チダイ、レンコダイ22〜32センチ船中280匹
カイワリ25センチ船中10匹
カワハギ35〜40センチ船中21匹
アジ、カサゴ少々