TOPGUN衣浦
マダイ列伝!
2018年07月17日
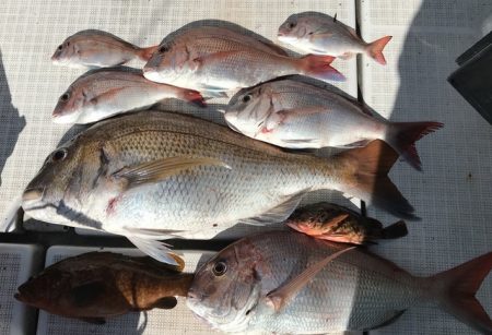
マダイがメッチャ湧いているw(゚o゚)wオオー!
連日マダイ尽くしでした☆
サイズ的には、もう少しアベレージが上がって欲しいのですが、こんな大物も来るんで気が抜けない
リールの持ち方も知らない初心者ゲストさんでしたが、少しのレクチャーでコツを掴み、何匹もマダイを掛けていました!
レアなキジハタもタイラバで!
初心者ゲストさんを連れて来てくれた先輩も良いサイズを釣って
大雨後の激濁りの海を攻略しました☆
おわり。
次は長野県から来てくれる澤井君チーム
マダイを筆頭に、ホウボウ、クロダイ、ヒラメ等、多魚種でした。
毎回、何が掛かるか分からないのが面白いですね!
さて、加藤さん(笑)
釣ったマダイを船尾のイケスに運ぶ途中、海に落としてしまったりと・・・今日もパンチが効いていました( ̄ー ̄)ニヤリッ
3人で釣りマクって素晴らしい釣果となりました(´∀`*)
おわり。
続いてスーパーライトな釣りをしたいと予約頂いた田中さん御一行
ライトなタックルに60グラムのジグやタイラバを使い沢山の魚を釣ってくれました☆
ハマチも初お目見え(o^∇^o)ノ
今後に期待です!
常に誰かのロッドに魚の反応がある釣行でした。
ラストはヒラカンさん同じく衣浦マリーナに立派な船を置いてるのですが、一年に3回くらいしか使わないので、
今日は彼の船を私が操船しガイドをしました。
エアコン効いてるし、メッチャ快適でした(\’▽\’*)ニパッ♪
釣果の方は激ヤバッ((((;゚д゚)))
最初から最後まで魚が掛かりっぱなし!
後半はジギングサビキでアジを狙い、マダイ以外のお土産確保に専念しました☆
凄まじかった(^_^)ニコニコ
夕方の海は涼しいし、魚の活性も高いですよ~












































