アジアマリンサービス
6月19日(火)乗り合いにて出船
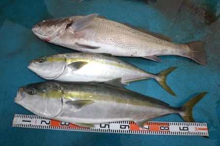
釣果は、ブリ、ヤズ
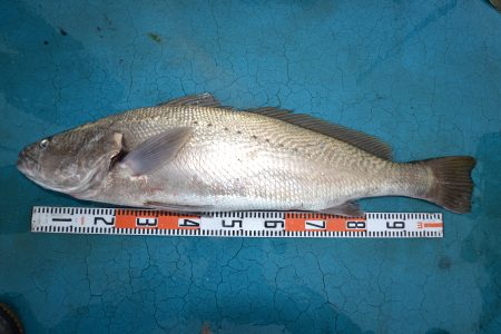
他、オオニべ、グチ、コチでした
| 船名 | アジアマリンサービス |
|---|---|
| 都道府県 | 広島 |
| ホームページ | http://www.ne.jp/asahi/azia/marine/index.html |
| ブログ | http://www.aziamarine.com/ |
| 電話番号 | 090-3177-7201 |
2018-06-19
日中
曇り
--
中潮
イナダ(ハマチ),マゴチ,ブリ,ニベ
ジギング
6月19日(火)乗り合いにて出船
釣果は、ブリ、ヤズ
他、オオニべ、グチ、コチでした