釣り船くわだ
6月17日(日)、キス釣り
こんにちは何時も有難うございます
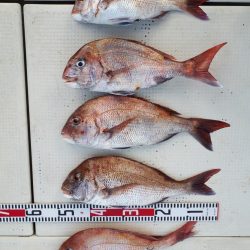
6月17日 日曜日,中潮、鯛釣り
大きさ30~65cm。数1人5匹
今日の鯛釣りは、虫餌を使用しました
ぼちぼち釣れましたよ
大満足
船賃 近場定員6人
1人 10000円
| 船名 | 釣り船くわだ |
|---|---|
| 都道府県 | 広島 |
| 場所 | 満越港 Google Map |
| ホームページ | http://chaptain.at.webry.info/ |
| ブログ | http://chaptain.at.webry.info/theme/e9eb4462e5.html |
| 電話番号 | 090-2002-8598 |
| ジャンル | エサ |
2018-06-17
日中
曇り
--
中潮
マダイ,キス
天秤フカセ
6月17日(日)、キス釣り
こんにちは何時も有難うございます
6月17日 日曜日,中潮、鯛釣り
大きさ30~65cm。数1人5匹
今日の鯛釣りは、虫餌を使用しました
ぼちぼち釣れましたよ
大満足
船賃 近場定員6人
1人 10000円