千宝丸
6月17日日曜日、五目釣り。
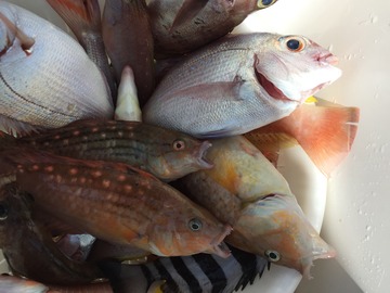
6月17日日曜日、五目釣りで6時出船天候晴れ、中潮、何とか五目釣れましたが地合い短いですね、
メバル、ウマズラ、アジの地合いもう少し長ければ面白いのですがね14時納竿させて頂きました。
今日は皆さん海賊にて釣った魚で食事みたいです美味しく頂いて下さいね。
ご乗船有難う御座いました、又宜しくお願いします。
| 船名 | 千宝丸 |
|---|---|
| 都道府県 | 広島 |
| 場所 | 坂埠頭 Google Map |
| ホームページ | http://www.kaizoku7200.com/index.html |
| ブログ | http://kaizoku7200.blog.jp/ |
| 電話番号 | 090-1182-8262 |
2018-06-17
日中
晴れ
快適
中潮
アジ
その他エサ釣り
6月17日日曜日、五目釣り。
6月17日日曜日、五目釣りで6時出船天候晴れ、中潮、何とか五目釣れましたが地合い短いですね、
メバル、ウマズラ、アジの地合いもう少し長ければ面白いのですがね14時納竿させて頂きました。
今日は皆さん海賊にて釣った魚で食事みたいです美味しく頂いて下さいね。
ご乗船有難う御座いました、又宜しくお願いします。