千宝丸
6月10日日曜日、五目釣り。
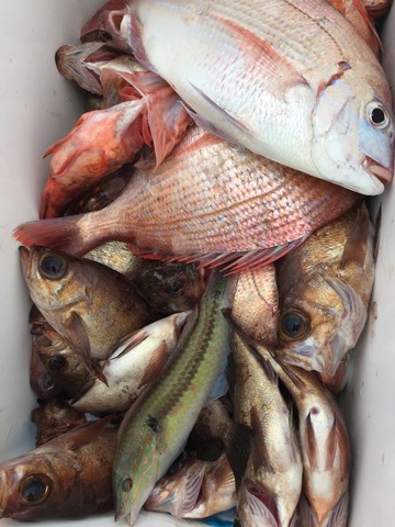
今日は五目釣りで5時出船、天候曇り、中潮、今日は雨の心配しましたが何とか持ちこたえてくれましたね、今日の釣果は珍しくメバルがほとんどで五目釣りでわなくメバル釣りの様な感じでしたね
チダイ、ベラ、ガシラ、メバル20㎝前後70匹位
美味しく頂いて下さいね。12時納竿させて頂きました。
ご乗船有難う御座いました、又宜しくお願いします。
| 船名 | 千宝丸 |
|---|---|
| 都道府県 | 広島 |
| 場所 | 坂埠頭 Google Map |
| ホームページ | http://www.kaizoku7200.com/index.html |
| ブログ | http://kaizoku7200.blog.jp/ |
| 電話番号 | 090-1182-8262 |
2018-06-10
午前
曇り
快適
中潮
メバル
胴突き
6月10日日曜日、五目釣り。
今日は五目釣りで5時出船、天候曇り、中潮、今日は雨の心配しましたが何とか持ちこたえてくれましたね、今日の釣果は珍しくメバルがほとんどで五目釣りでわなくメバル釣りの様な感じでしたね
チダイ、ベラ、ガシラ、メバル20㎝前後70匹位
美味しく頂いて下さいね。12時納竿させて頂きました。
ご乗船有難う御座いました、又宜しくお願いします。