第二八坂丸
2018/05/20
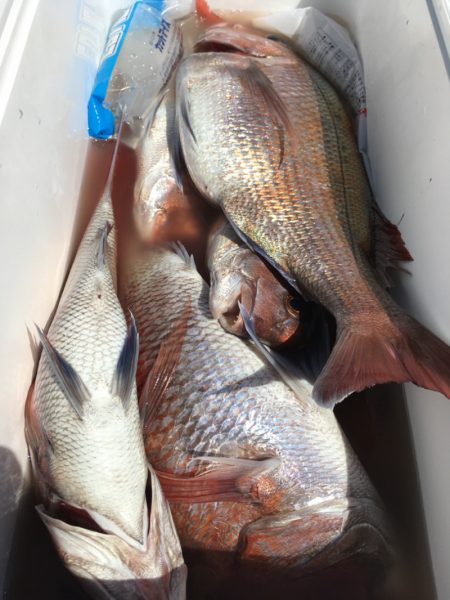
5:00〜8hマダイ 0.8〜3.6kg 5〜クーラー満タン 大漁!
17:00〜6hヒラメ 0.7〜2.3kg 船中8
23:00〜6hヒラメ 出船中
| 船名 | 第二八坂丸 |
|---|---|
| 都道府県 | 新潟 |
| 場所 | 直江津港 Google Map |
| ホームページ | http://www.yasakamaru.com/ |
| ブログ | http://ameblo.jp/yasakamaru/ |
| 電話番号 | 090-1439-1619 |
| ジャンル | エサ |
2018-05-20
--
晴れ
快適
中潮
ヒラメ
天秤フカセ
2018/05/20
5:00〜8hマダイ 0.8〜3.6kg 5〜クーラー満タン 大漁!
17:00〜6hヒラメ 0.7〜2.3kg 船中8
23:00〜6hヒラメ 出船中