早上がり
2018-05-18 19:11:20
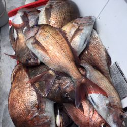
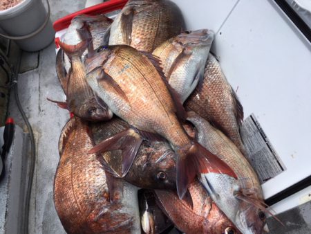
マダイ1日便 マダイ 0,8kg~6,2kg 1人10~45枚 6人船中117枚 その他、大ワラサ等 竿頭45枚・30・17・15・・   14:00-22:00便 マダイ~夜ヒラメ マダイ 1,2kg~4,9kg 1人1~5枚 船中13枚 西風強まり16:20納竿早上がり  明日19日(土)海上予報悪く出船なし