アジアマリンサービス
5月16日(水)乗り合いにて出船
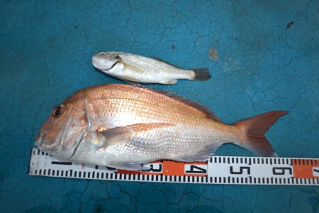
釣果は、ヤズ、鯛でした
| 船名 | アジアマリンサービス |
|---|---|
| 都道府県 | 広島 |
| ホームページ | http://www.ne.jp/asahi/azia/marine/index.html |
| ブログ | http://www.aziamarine.com/ |
| 電話番号 | 090-3177-7201 |
2018-05-16
--
晴れ
快適
大潮
イナダ(ハマチ)
ジギング
5月16日(水)乗り合いにて出船
釣果は、ヤズ、鯛でした