小倉丸
イサキ4/23
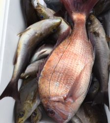
今朝は曇り海上は凪ぎです。イサキの喰いは渋いがボツボツ釣れました。外道にメジナ、真鯛、石鯛、ウマズラハギが釣れました。
| 船名 | 小倉丸 |
|---|---|
| 都道府県 | 千葉 |
| 場所 | 千田港 Google Map |
| ホームページ | http://23oguramaru.lolipop.jp/ |
| ブログ | http://23oguramaru.lolipop.jp/?page_id=27 |
| 電話番号 | 0470-43-8355 |
| ジャンル | エサ |
2018-04-23
--
曇り
快適
小潮
イサキ,マダイ
天秤フカセ
イサキ4/23
今朝は曇り海上は凪ぎです。イサキの喰いは渋いがボツボツ釣れました。外道にメジナ、真鯛、石鯛、ウマズラハギが釣れました。