TOPS JAPAN
真鯛ハチマル頭に爆釣でした❗
今日も真鯛狙いで出船❗
朝から今期一番の大鳥山❗
イワシベイトで大型真鯛が高活性‼
6名様 乗り合いでしたが 43枚と良く釣って戴けました
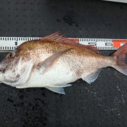
一番大きかったのは。。。
僕が釣ってしまいました。。。
中層のイワシベイトに付いたハチマルでした❗
エア抜きして元気に海にお帰り戴きました❗
ナナマルも何枚かは写真撮りましたが、
全然写真が追い付かなかったのと、
お昼辺りから皆さんリリースされてたので、サイズは計らずに直ぐに海にお帰り戴きました❗
前半で沢山釣れて余裕のある日は。。。
ベイト調査‼
10cmちょっとの片口鰯‼
揚がって来た真鯛の口からもかなりイワシが出て来てました❗
真鯛連発の中、ちっっっっっさいレンコ鯛や普通サイズのレンコ鯛もポツポツ混じってました❗
鳥山にイワシとなると。。。
勿論青物も高活性‼
中層の大型真鯛を狙ってたら僕にも1つ。。。
これからの季節は鯛ラバに青物も良くヒットしてきます❗
ラインの強度やドラグ設定について今一度確認しておいて下さいね❗
今日は釣れた真鯛の半数程をリリースして戴きました❗
また更に大きくなって出逢えると良いですね
1日有り難うございました❗






























































































































