第二八坂丸
2018/04/16
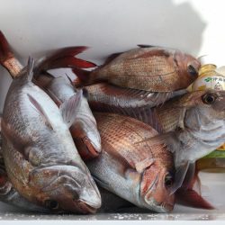
5:00〜8h便マダイ 0.5〜1.6kg 船中15匹 他0.5kg未満
| 船名 | 第二八坂丸 |
|---|---|
| 都道府県 | 新潟 |
| 場所 | 直江津港 Google Map |
| ホームページ | http://www.yasakamaru.com/ |
| ブログ | http://ameblo.jp/yasakamaru/ |
| 電話番号 | 090-1439-1619 |
| ジャンル | エサ |
2018-04-16
午前
晴れ
--
大潮
マダイ
天秤フカセ
2018/04/16
5:00〜8h便マダイ 0.5〜1.6kg 船中15匹 他0.5kg未満