磯部釣船 直栄丸
10日 伊良湖沖の泳がせ釣り
悔しい~っ
「エビの釣りか?泳がせか?」迷っていたメンバーさんに「泳がせ」をお勧めした手前、どうして結果を出したかった今日の釣行。
朝イチ、一投目からワラサのアタリが出たのですが、上手くハリに掛からず。
でも、アタリが出たので「今日も好調継続中!?」と思いきや・・
あれ?あれあれ?
たまにアタリが出たと思えばサメ(ハンマーヘッドシャーク)
朝あったベイト反応も時間の経過とともにどんどん減り、最後は何も無くなってしまった。
あれあれあれ?
何かメンバーさんにとても申し訳なく思えて、延長して1時間粘ってみましたが、状況変わらず。
「ごめんなさい。」と言うほか無い。
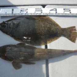
全体釣果
ヒラメ 53センチ、 マゴチ 55センチ
以上。
ワラサにサワラが爆釣りは何処へ(涙)
クッソまた、外してしまった。
ベタ凪のええ天気だった事が救いかな!?
お疲れ様でした。
ありがとうございました。














