TOPS JAPAN
真鯛と真鱈で❗
今日は気の合うメンバーで仕立てで出船❗
真鯛と真鱈を狙いに行って来ました❗
午後から波風が上がり雨が降る予報だったので、早出の早上がり❗
真鱈は難しかったので早々にやめて、真鯛狙いメインになりました❗
真鯛も中々テクニカルでしたが。。。
今日はトンネル工事の職長がパターンフィッシング❗
僕も1枚❗
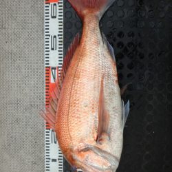
今日は良いサイズの真鯛が揃いました❗
真鯛、真鱈の他にはレンコ鯛、ウッカリカサゴ、カレイ、タヌキメバルでした❗
1日有り難うございました❗




































