第一進丸
03/29 釣果
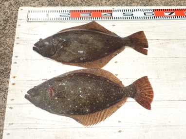
本日もヒラメに出船。
大板絡み上がる 3.8kg、次2.5kg、2kg と、
良い型が釣れ、船べり間際の大板のバラシも有り、良い状況です。
0~6枚、トップ6枚、次4枚、オデコ2人もアタリ、バラシ多数。
他、スズキも上がる。
風弱く、潮流れず、拾い釣りの状況でしたが、
ソゲも肉厚のお刺身に十分なヒラメが上がり、
アタリ・バラシ多数で良い型が混じって釣り上がりました。
明日もヒラメに出船。
風も北よりに変わり、強い予報ですが、
陸上よりの風となり、船の流れも良く期待でき、
今期残り2日、良い型を狙って出船致します。
ご予約少なく、
13時50分現在、ご予約5名様 。
ご都合のつくお客様は、ご乗船をお待ち申し上げております。
近々の大板の写真をHPのトップページ に掲示中、ぜひご覧ください
<進丸ニュース>
・今期ヒラメ釣りは3月31日まで!!
・第30回ヒラメダービー入賞のお客様、賞品は3月31日までにおいでください 。
・ヒラメダービー参加方法をバージョンアップ!! new
・第二回旭市飯岡港初夏のヒラメ釣り大会優勝!! new
・2018年シーズンダービー1位賞品を『選べて』、さらに『パワーアップ』 !!new
・『席取順番札 』を設置いたしました。(夜間、席取りの安全確保のため)
・探していますⅡ!両軸リール・中通し竿・竿掛け!
・お誕生日割引きが更にお得に!!
・クーラーは30 ℓ を中心に35 ℓ まで
・安全、快適に、ミヨシに肘掛け付椅子を設置
・ルアーファンのお客様へ朗報!
・・・ 詳しくはこちらへ
*ライフジャケット乗船時、完全義務化 (2018年2月より)
ライフジャケットを購入して、ご自身の安全の為に、
乗船時には、命を守るアイテムを必ず着用しましょう


























