千宝丸
3月17日土曜日、メバル釣り。
3月17日土曜日、メバル釣りで6時出船、天候晴れ、大潮、今日はスタートから良く喰いましたね
3ヶ所ポイント移動、退屈無く喰いましたね今年は本当にメバルの当たり年ですね13時20分納竿させて頂きました。
何時も千宝丸可愛がってくれまして有難う御座います又ご利用下さいね。
| 船名 | 千宝丸 |
|---|---|
| 都道府県 | 広島 |
| 場所 | 坂埠頭 Google Map |
| ホームページ | http://www.kaizoku7200.com/index.html |
| ブログ | http://kaizoku7200.blog.jp/ |
| 電話番号 | 090-1182-8262 |
2018-03-17
日中
晴れ
寒い
大潮
メバル
サビキ
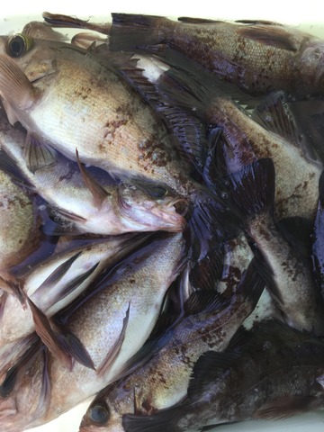
3月17日土曜日、メバル釣り。
3月17日土曜日、メバル釣りで6時出船、天候晴れ、大潮、今日はスタートから良く喰いましたね
3ヶ所ポイント移動、退屈無く喰いましたね今年は本当にメバルの当たり年ですね13時20分納竿させて頂きました。
何時も千宝丸可愛がってくれまして有難う御座います又ご利用下さいね。