大進丸(愛知)
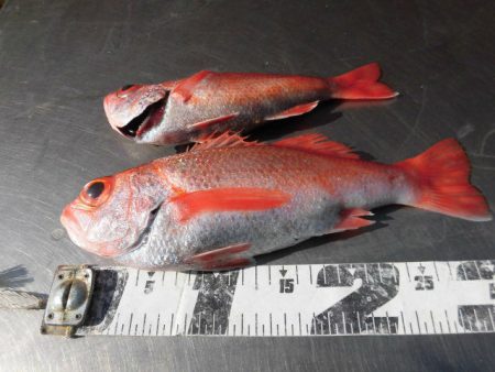
本日は赤ムツ釣りコース出船いたしましたよ~!
数釣りはできませんでしたが、1.45キロを頭に良型ぞろいでみなさん楽しんでいただきました!まだまだ潮次第で好釣果が期待できそうですね!
みなさん是非一度挑戦してみて下さいね~!
次回の赤ムツ釣りコースの出船予定は・・・
3/17日(土)3/18日(日)3/19日(月)までを今のところ予定しておりますので宜しくお願いします!又、天候の都合により出船が変更となる場合がございますので皆様あらかじめご了承下さい。
































