松運丸
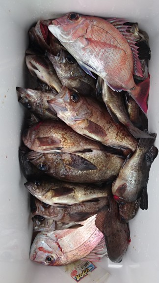
メバル!!
今日もメバル!!
魚影今一な感じでしたが、中盤の時合いでどうにか稼いでいただきました(^^♪
本日もありがとうございました!
| 船名 | 松運丸 |
|---|---|
| 都道府県 | 広島 |
| ホームページ | http://syounmaru.com/ |
| ブログ | http://syounmaru.com/blog |
| 電話番号 | 090-9067-1998 |
2018-03-03
--
曇り
--
大潮
メバル
サビキ
メバル!!
今日もメバル!!
魚影今一な感じでしたが、中盤の時合いでどうにか稼いでいただきました(^^♪
本日もありがとうございました!