第一進丸
02/22 釣果
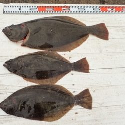
本日もヒラメに出船。
0.9~3.5kg。1~3枚
全員2kg以上の良大型を釣り上げられました。
潮色良く、船の流れ良く、
ヒラメ釣り初めてのお客様も2枚釣り上げられ
皆さん、ニコニコ笑顔でお帰り頂けました。
明日もヒラメに出船予定。
雨は夜半までで、明け方には通り過ぎ
明け方は、気温も4℃台と暖かく、
日中は晴れ模様で、風も適度に吹く予報です。
ご予約をお待ち申し上げております。
近々の大板の写真をHPのトップページ に掲示中、ぜひご覧ください
<進丸ニュース>
・ヒラメダービー参加方法をバージョンアップ!! new
・第二回旭市飯岡港初夏のヒラメ釣り大会優勝!! new
・2018年シーズンダービー1位賞品を『選べて』、さらに『パワーアップ』 !!new
・『席取順番札 』を設置いたしました。(夜間、席取りの安全確保のため)
・探していますⅡ!両軸リール・中通し竿・竿掛け!
・お誕生日割引きが更にお得に!!
・クーラーは30 ℓ を中心に35 ℓ まで
・安全、快適に、ミヨシに肘掛け付椅子を設置
・ルアーファンのお客様へ朗報!
・・・ 詳しくはこちらへ
*ライフジャケット乗船時、完全義務化 (2018年2月より)
ライフジャケットを購入して、ご自身の安全の為に、
乗船時には、命を守るアイテムを必ず着用しましょう






















