フルコンタクト
2018.02.19
シーバス
天候
風も無くベタ凪で穏やかでした。
服装は防寒着です。
シーバス
ミノーingでランカーハンティング!
ナイトシーバスのポイント調査です。
今夜は新品のエンジンの慣らし運転をしながら、
シーバス見てきました。
今年は寒冬なので、海はまだ真冬の感じでした。
あと、シーバスの環境も変わってて、今シーズンどうするか?
やりながら見つける感じになりそうです。
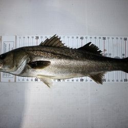
MEMORIAL FISH
ランカーハンティング成功!
ボラパターンはランカーチャンス♪
ロッド:スミス KOZ.EX-S70L/2 Porter
リール:シマノ ステラ C3000XG
ライン:バリバス アバニ シーバス PE マックスパワー1号
リーダー:バリバス ショックリーダー 【フロロカーボン】20lb
スナップ:デコイ Wスナップ #3
ルアー : スミス サラナMD110S #11 レーザーチャート
フック : デコイ トレブル Y-S81 #4
フルコンで、サラナMDというえばボラパターンです。
ボラの下にルアーを通してシーバスを狙う釣りです。
僕はボラパターンがランカーチャンスと思っているので、
この時期は必ずやるようにしてます。
今夜も3回シーバスらしきバイトで、その1バイトがランカーでした。
魚影は見てないけど、外れたほうがデカかったかも?
結果は、3バイト・1キャッチ・1バラシ でした。
ルアーは、チャートかパールがいいですよ。
フックは、軽い力でも鋭く刺さる デコイ Y-S81 が必要です。
今シーズンのファーストフィッシュがランカーって、
釣果はかなり寂しいかったけど、幸先の良いスタートになりました。
来週ぐらいから気温も上がり、雨も降るので良くなりそうです。
【 参考タックル 】
■スピニングタックル
ロッド:スミス KOZ.EX-S70L/2 Porter
リール:シマノ ステラ C3000XG
ライン:バリバス アバニ シーバス PE マックスパワー1号
リーダー:バリバス ショックリーダー 【フロロカーボン】20lb
スナップ:デコイ Wスナップ #3
ルアー : スミス ハルカ125S #KOZオリジナルカラー
フック : デコイ トレブル Y-S81 #4 #6(R)
↑
ハルカ 125S KOZオリジナルカラーはこちらから




















