第一進丸
02/07 釣果
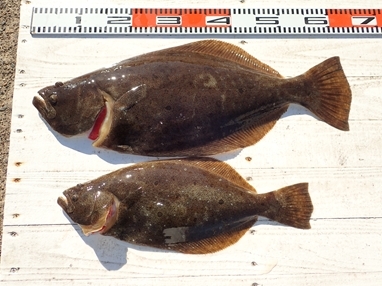
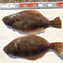
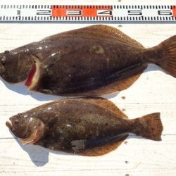
本日もヒラメに出船。
大板上がる、75cm、5.3kg 、
丸々と太った肩肉の盛り上がった特肉幅広の厚東京ドーム型が上がる。
次63cm、62cm、60cm、、、、
2kg以上が7枚 、0.6~5.2kg、0~3枚 。
トップ3枚が6人、オデコ1人。
特肉厚の良大型が数揃って釣り上がりました。
他66cmスズキ、も上がる。
明日もヒラメに出船。
15:30現在、ご予約3名様 。
空きがたくさんありますので、
ご予約をお待ち申し上げております。


































