坂下丸
南伊豆 下流 今日の釣果
水温16℃ちょい荒れの釣り日和
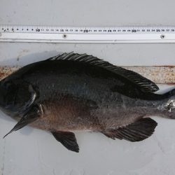
安齋さん、本領発揮!メジナ44.7cm惜しくも45逃す!サヨリは居なかった
| 船名 | 坂下丸 |
|---|---|
| 都道府県 | 静岡 |
| 場所 | 下流港 Google Map |
| ホームページ | http://blog.goo.ne.jp/sakasitamaru |
| 電話番号 | 090-1627-5598 0558-63-1460 |
| ジャンル | エサ |
2018-02-03
日中
--
--
中潮
グレ(メジナ)
その他エサ釣り
南伊豆 下流 今日の釣果
水温16℃ちょい荒れの釣り日和
安齋さん、本領発揮!メジナ44.7cm惜しくも45逃す!サヨリは居なかった