釣鯛洋
1月18日 鯛ラバ 乗り合い出船
朝7時から出船しましたよ〜!反応はあっても、なかなか喰いません日が昇って来てからやっと 良型真鯛ゲットで〜す❗️ 70オーバーでした
その直後、友人にもヒット❣️巻き上げ途中で「何か重くなりました」との事⁉︎上げてみたら 真鯛と格闘中にホンダワラをヒット‼️
それでもなかなかのサイズでしたよ〜!
本日も絶好調な 替玉屋の店長さん 良型真鯛を3枚ゲットでしたしかし喜びも束の間 次の日からインフルエンザで寝込んだそうです
本日まだアタリのなかったF様あと5分で上がりますねぇ と言った直後にドラマが・・・ ヒットしましたよ〜❗️
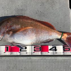
67㎝の綺麗な良型真鯛をゲット‼️ やっぱり最後まで諦めない心が大事だと改めて思い知らされた1日でした。
この日はボツボツ釣れ続きましたよ〜
いつもこれくらい釣れたらいいのになぁ 明日も頑張ります




























