海人丸(うみんちゅまる)
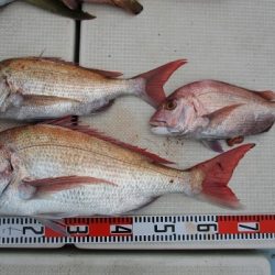
1月15日釣果!
タイラバ・テンヤ出船です!
| 船名 | 海人丸(うみんちゅまる) |
|---|---|
| 都道府県 | 熊本 |
| 場所 | 玉名新川漁港 Google Map |
| ホームページ | http://uminchumaru.com/ |
| ブログ | http://umintyumaru.blog112.fc2.com/ |
| 電話番号 | 090-3073-5586 |
| ジャンル | タイラバ |
2018-01-15
日中
晴れ
寒い
中潮
キジハタ(アコウ),イナダ(ハマチ),マダイ
タイラバ(鯛ラバ)・テンヤ
1月15日釣果!
タイラバ・テンヤ出船です!