磯部釣船 直栄丸
8日 伊良湖沖の泳がせ釣り
冷たい雨の中の釣りとなった、梶尾さんらメンバーさんの釣行です。
今日はベイトは山盛り出てました。
そのベイトの中で、ジアイ待ち。 ひたすらジアイ待ちの釣り。
アタリが非常に少なく、たまに出るアタリにハラハラドキドキ。
操船して見ている方の私もアタリが出ると釣ってる本人と同じぐらい力が入ります(笑)
エサのイワシが刃物で切った様に真っ二つ これはきっとサワラ。
なかなかハリに掛からないし、掛ったとしてもラインブレイクが多いやっかいなヤツ。
そして遂に来ました!
トモに釣り座を構えた梶尾さんに強烈な引き。
先日、TVで放映された「大間のマグロ釣り」とまではいかないけれど、そんな気分のやりとりの末・・
やりました! 88センチのブリ!!
嬉しい1匹 おめでとう!!!
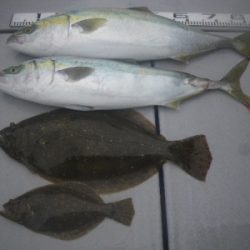
他にマル 80センチ、 ヒラメ 31、56センチ が船中釣果。
数は少な目ですが、旬の魚。 みなさんで堪能して下さいね。
冷たい思いをして、必死になって釣り上げた魚 極上ですよ。
数は少なくなったかもしれませんが、まだ居ます。 青物、ヒラメ。
また是非チャレンジしに来て下さいね。
お疲れ様でした。
ありがとうございました。
















