渡船屋たにぐち
1/4 釣果
2018-01-04 21:40:10
赤物狙いで出船❣️
やっぱお正月は似合いますね「マダイ」
ヒットジグはあいや〜じくのセミロングシルバーボディにグローヘッド165g
シオも同じあいや〜セミロングで
シオ
レンコダイ
ホウボウ
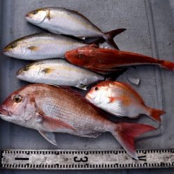
釣果はこんだけ〜
マダイ、レンコダイ、ホウボウ、シオ「カンパチ」
| 船名 | 渡船屋たにぐち |
|---|---|
| 都道府県 | 三重 |
| 場所 | 宿田曽港 Google Map |
| ホームページ | http://www.tosenya.com/ |
| ブログ | http://ameblo.jp/tosenya/ |
| 電話番号 | 090-1417-8001 |
| ジャンル | ルアー |
2018-01-04
--
--
--
カンパチ・シオ,マダイ,ホウボウ,レンコダイ
ジギング
1/4 釣果
2018-01-04 21:40:10
赤物狙いで出船❣️
やっぱお正月は似合いますね「マダイ」
ヒットジグはあいや〜じくのセミロングシルバーボディにグローヘッド165g
シオも同じあいや〜セミロングで
シオ
レンコダイ
ホウボウ
釣果はこんだけ〜
マダイ、レンコダイ、ホウボウ、シオ「カンパチ」