泰丸
24日午前便完全フカセ 大嶋氏ら
今日の完全フカセは晴天4日目だったのでさすがに食い渋っていましたが、何とか全員に良いサイズのマダイが釣れてくれましたョ~(*´з`)!!
小ダイもポツリポツリ釣れたので何だかんだでオカズキープも出来ました(*\’▽\’)!!
マダイ28~78センチ 5~7匹 船中24匹
| 船名 | 泰丸 |
|---|---|
| 都道府県 | 福井 |
| 場所 | 色浜 Google Map |
| ホームページ | http://www.taimaru.jp/ |
| ブログ | http://www.taimaru.jp/fishingpost/ |
| 電話番号 | 0770-26-1722 |
2017-12-24
日中
晴れ
寒い
小潮
マダイ
完全フカセ
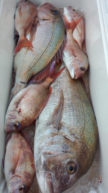
24日午前便完全フカセ 大嶋氏ら
今日の完全フカセは晴天4日目だったのでさすがに食い渋っていましたが、何とか全員に良いサイズのマダイが釣れてくれましたョ~(*´з`)!!
小ダイもポツリポツリ釣れたので何だかんだでオカズキープも出来ました(*\’▽\’)!!
マダイ28~78センチ 5~7匹 船中24匹